ขายอาคารพาณิชย์ 2.5 ชั้น 2 คูหา เนื้อที่ 39.5 ตรว. เหมาะสำหรับทำการค้า
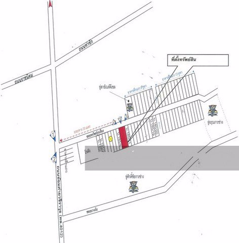
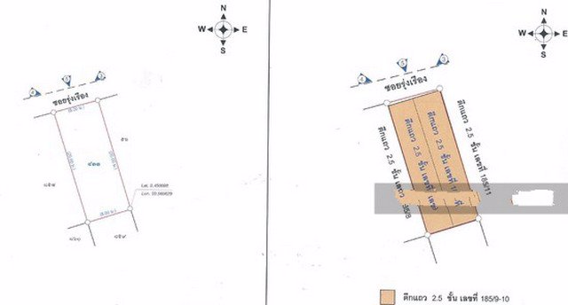
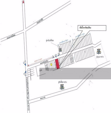
สนใจติดต่อ โทร 0947878786 วรัศ ------------------------------------------------------------------------------------------ ขายอาคารพาณิชย์ 2.5 ชั้น 2 คูหา เนื้อที่ 39.5 ตรว. (รหัส 06494) 8445.95 บาท ราคา/ตร.ม. พื้นที่ 296 ตร.ม. (3,186 ตารางฟุต) ที่ดิน: 39.5 ตารางวา (158.00 ตร.ม. - 15822.78 บาท ราคา/ตร.ม.) ขายอาคารพาณิชย์ 2.5 ชั้น 2 คูหา เนื้อที่ 39.5 ตรว. เหมาะสำหรับทำการค้า ขาย 2,500,000 บาท สถานที่ใกล้เคียง 1. ร.ร.ศรีธรรมราชศึกษา (EP) 2. กรมทหารราบที่ 15 3. สถานีทหารสารวัตร ที่ตั้ง 185/9-10 อ้อมค่ายวชิราวุธ ท่าวัง, เมืองนครศรีธรรมราช, นครศรีธรรมราช ------------------------------------------------------------------------------------------ สนใจติดต่อ โทร 0947878786 วรัศ
แสดงความคิดเห็น
กรุณาเข้าสู่ระบบเพื่อแสดงความคิดเห็น
ประเภท
เขต
ไม่ระบุเขต
จังหวัด
ราคา
2,500,000 บาท
ขนาด
39 ตรม.
วันที่ลงประกาศ
14 กุมภาพันธ์ 2020(6 ปีที่แล้ว)
จำนวนผู้เข้าชม
166 ครั้ง






