ขายที่ดินแปลงสวย ในซอยกำนัล หนองบัว อุดรธานี
ขายที่ดินแปลงสวย ในซอยกำนัล หนองบัว อุดรธานี
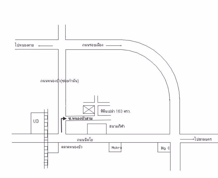
ขายที่ดิน
เนื้อที่ 163 ตารางวา
ที่ดินทำเลดีมาก
เหมาะทำอพาร์ตเมนต์ หรือ หอพัก
สร้างบ้านพักอาศัย
ที่ถมสูงกว่าถนน 50 เซนติเมตร
แปลงหัวมุม ติดถนนสองด้าน
เจ้าของขายเอง
ราคาขาย 3,300,000 บาท
ที่อยู่ : ซอยหนองบัวสาม ตำบลหนองบัว อำเภอเมืองอุดรธานี จังหวัดอุดรธานี 41000
สนใจติดต่อ : คุณชัยวัฒน์
โทร : 087-036-2885
แสดงความคิดเห็น
กรุณาเข้าสู่ระบบเพื่อแสดงความคิดเห็น
ผู้ลงประกาศ : ตัวแทน ลงประกาศ (นายหน้าอิสระ)
เบอร์ติดต่อ : 0800000000



