ที่ดินแปลงเล็ก ราคาหลักแสน พัทยา-ห้วยใหญ่
ที่ดินแปลงเล็ก ราคาหลักแสน สำหรับสร้างบ้านมาแล้วค่ะ
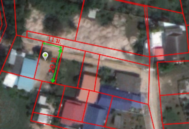
เนื้อที่ 50 ตรว.
หน้ากว้างประมาณ 11 เมตร ลึก 20 เมตร
มีน้ำ มีไฟ
พิกัด: ห้วยใหญ่-ทุ่งคาใต้
ขาย 700,000 บาท
โทร 0899355841 ไลน์ awalai
แสดงความคิดเห็น
กรุณาเข้าสู่ระบบเพื่อแสดงความคิดเห็น
ประเภท
จังหวัด
ราคา
700,000 บาท
ขนาด
50 ไร่
วันที่ลงประกาศ
21 มกราคม 2020(6 ปีที่แล้ว)
จำนวนผู้เข้าชม
182 ครั้ง



